هذا الاعلان منتهي
أرض للبيع في جيبيا بالقرب من اسكان المهندسين و منازل سكنبية و فلل.
×
❯
1 of 3
تفاصيل الشقة
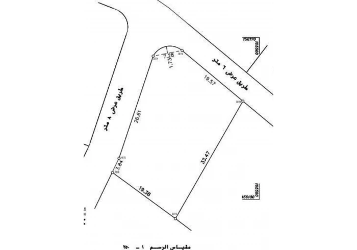
| مساحة الارض | : 754 متر مربع |
| عنوان الارض | : رام الله والبيرة |
معلومات إضافية
أرض للبيع في جيبيا بالقرب من اسكان المهندسين و منازل سكنية و فلل. شارع باسكورس و أسفلت و بعيدة أقل من 100 متر من خدمات و شارع البلدة. أطلالة رائعة و منطقة هادئة. محاذية لعزب. فيها زيتون و تصلح عزبة. تصلح فلا او فلتين حسب ما كان مخطط من قبل المالك. كوشان طابو.
للجادين, بامكانكم ارسال رسالة عبر الواتس لمعرفة تفاصيل أخرى.
السعر
411,766
معلومات المعلن
| الاسم | : محمد فايز |
| رقم الهاتف | : معلومات الاتصال لا تظهر في الاعلانات المنتهية |
| رقم الموبايل | : معلومات الاتصال لا تظهر في الاعلانات المنتهية |
| تاريخ الاعلان | : 2024-04-10 |
| نهاية الاعلان | : 2024-05-31 |
نص دنم أرض للبيع بسعر مغري من الم...
اعلان منتهي
بيت لحم
ارض طابو في منطقة حيوية
اعلان منتهي
نابلس
قطعة أرض للبيع من المالك مباشرة -...
اعلان منتهي
غير محدد
دونم كامل على شارعين -كوشان مستقل
اعلان منتهي
طوباس
هيونداي سنتافي 2016
اعلان منتهي
رام الله والبيرة
هيونداي سنتافي 2014
اعلان منتهي
طوباس
شقة مميزة للبيع في الارسال/عقار ر...
اعلان منتهي
رام الله والبيرة
شقة للبيع 170 متر _ابوديس
اعلان منتهي
القدس
